Animal Haven Veterinary Clinic
1433 NW Frontage RDSocorro, NM 87801(575)835-3545
www.animalhavensocorro.com
|
Appointments
We will do our best to accommodate your busy schedule. Please schedule an appointment today!
Request Appointment
Please note that you do not have an appointment until you receive confirmation from us. Thank you!
|
Office Hours
We are open during the following hours:
Monday, Tuesday, Thursday, Friday: 8:00AM - 12:00PM & 1:30PM - 5:00PM Saturday: 9:00AM-1:00PM
Contact Us
|
|
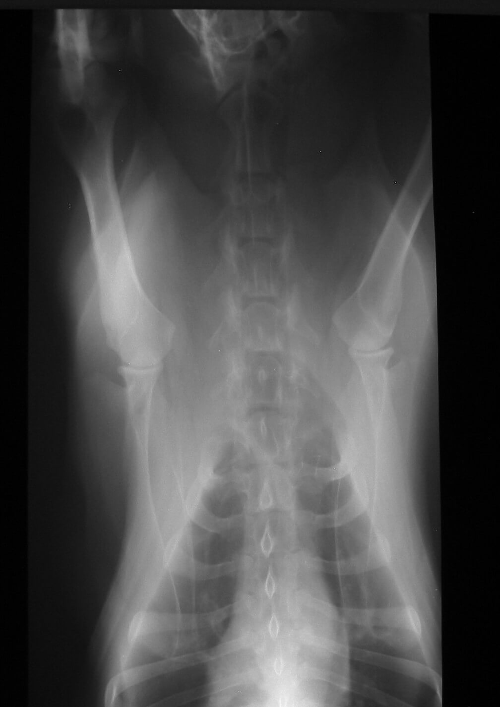
Digital Radiography

At Animal Haven Veterinary Clinic of Socorro in Socorro, NM, we are proud to be on the cutting edge of medical technology. Radiology is a technique and diagnostic tool we use to look inside the body in a completely non-invasive way. X-rays allow us to create images of all the body's organs. In other words, the use of radiology gives us a view of the internal organs in your pet's body that we otherwise could not see. It's an important diagnostic tool that helps veterinarians detect and prevent illnesses.
The images produced by digital radiography are of much better quality than film radiographs and can be manipulated digitally, giving us the best possible radiographic information to help us diagnose your pets.
The use of radiology is safe, and our entire staff is highly trained. It is our goal to provide your pets with the highest level of medical care possible, and this is just one of the many ways we achieve that.
|
|